Menu

28°

Palmitinho - RS
30° max
20° min

Fechar

28°

Palmitinho - RS
30° max
20° min
  • O Grupo
  • Anuncie
  • Contato
  • Furacão Monstro de categoria 5 ruma diretamente para Acapulco

    Furacão Otis se intensificou com velocidade descrita por experts como "vertiginosa" e pode trazer danos catastróficos

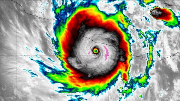
    O furacão Otis se fortaleceu muito rapidamente, atingiu intensidade máxima na escala Saffir-Simpson e atingirá nesta quarta-feira diretamente a área de Acapulco, o mais famoso balneário mexicano da costa do Pacífico e conhecido por várias produções de cinema e televisão rodadas na cidade, como um episódio famoso da série popular Chaves.

     O ciclone tropical Otis ganhou muita força e muito rapidamente ao avançar sobre águas bastante aquecidas do Pacífico pela influência do fenômeno El Niño. Meteorologistas norte-americanos especializados em ciclones tropicais descrevem que o furacão Otis se fortaleceu a “uma velocidade vertiginosa e muito mais rapidamente do que o esperado”.

     Otis, conforme o National Hurricane Center (NHC, dos Estados Unidos, se aproxima da costa com força de categoria 5, a Oeste de Acapulco, com ventos máximos sustentados acima de 200 km/h. O cenário coloca a cidade diretamente no caminho do furacão ou logo ao lado direito da tempestade, o que aumenta o potencial de ser um evento catastrófico para Acapulco.

    “É um furacão de categoria 5 na escala de furacões Saffir-Simpson” e continuará com essa força até atingir a costa, provavelmente causando danos catastróficos”, acrescentou o NHC em seu boletim do começo da madrugada desta quarta-feira, quando Otis estava a 90 quilômetros a Sudoeste de Acapulco.

    Otis vai tocar terra na região de Acapulco durante a manhã desta quarta-feira com chuva extrema e vento com velocidades de alto potencial destrutivo. Inundações repentinas e deslizamentos de terra são esperados, já que chuvas generalizadas de 125 mm a 250 mm são previstas com totais localizados na faixa de 250 mm a 500 mm, o que vai causar graves inundações nos estados mexicanos de Guerrero e de Oaxaca, tanto na costa como no interior.

     “Esta é uma situação extremamente perigosa para a área metropolitana de Acapulco com o centro do furacão destrutivo passando perto ou exatamente sobre a cidade. Não há furacões com intensidade sequer perto deste que tenham atingido esta parte do México”, escreveu o NHC em duras palavras de alerta. “Um cenário de pesadelo está se instalando nesta noite”, assinala o Centro Nacional de Furacões dos Estados Unidos.

    O governo do estado de Guerrero suspendeu as aulas e adiou a apresentação de um relatório anual de gestão para focar no trabalho de prevenção, segundo comunicado. “O mais importante é reforçar a coordenação com as autoridades (…) e com as forças armadas, com o objetivo claro de garantir o bem-estar da população e evitar riscos”, afirmou a governadora Evelyn Salgado, citada no boletim.

     Os militares patrulharam as áreas próximas à costa de Acapulco (cerca de 380 km ao sul da Cidade do México), onde as atividades marítimas e a navegação marítima foram suspensas. Funcionários de empresas próximas à praia correram para retirar móveis de hotéis e restaurantes, enquanto o céu ficava nublado, observou um colaborador da agência AFP.

    Também foi relatada a suspensão do trabalho dos funcionários do governo local, enquanto os cidadãos foram chamados a seguir as recomendações oficiais. As autoridades da Proteção Civil também realizam vistorias em locais que serão habilitados como abrigos, acrescentou o governo. Grandes lojas como a norte-americana Walmart e a mexicana Aurrerá fecharam na tarde da terça-feira.

    Acapulco foi atingida em 9 de outubro de 1997 pelo furacão Paulina, que atingiu a costa como uma tempestade de categoria 4, deixando mais de duzentos mortos, tornando-se um dos mais mortíferos da história do México.

     O SMN mantém em alerta um trecho de quase 500 quilômetros entre Punta Maldonado e Zihuatanejo, em Guerrero, além de parte do litoral do estado vizinho de Oaxaca (Sul). Também emitiu alertas de chuvas e ventos intensos em sete estados do Sul e Centro do país.

     Devido às suas extensas costas no Pacífico e no Atlântico, o México é um dos países mais vulneráveis ​​a furacões, com pelo menos uma dúzia de ocorrências por ano. Em outubro de 2015, a porção central da costa do Pacífico foi atingida por Patricia, o furacão mais poderoso dos registros meteorológicos locais com ventos sustentados de 325 km/h e rajadas de até 400 km/h, mas que deixou apenas danos materiais ao atingir a costa em uma área montanhosa e desabitada.

    Entretanto, em setembro de 2013, outro fenômeno inédito foi registado na costa mexicana: simultaneamente, a tempestade tropical Manuel entrou no Pacífico e o furacão Ingrid entrou no Golfo do México, deixando 157 mortos. Em outubro de 2005, o Caribe do México foi atingido por Wilma, o furacão mais custoso da história, que atingiu Cozumel e depois castigou lentamente Cancún e a Riviera Maya durante mais de 48 horas. Deixou oito mortos e mais de 10 bilhões de dólares em perdas, especialmente em hotéis luxuosos.

    *Com informações MetSul

    https://metsul.com/furacao-monstro-de-categoria-5-ruma-diretamente-para-acapulco/ .

    Andrei Sartori - Estágiário de Jornalismo
    No Ar: Sul Bandas com Vilmar Luza 17:00 - 19:00

    FM
    91,1

    A Hora do Mate

    Alex Nunes - O Barbicacho

    17:00 - 19:00

    FM
    104,3

    Happy Hour 104

    Douglas Biguelini

    17:00 - 19:00

    FM
    107,9

    Sul Bandas

    Vilmar Luza

    17:00 - 19:00